Alaskaboo's Blog
  • 首页
  • 归档
  • 分类
  • 标签
  • 关于
  • 友链
【从会用模型到理解CV4】现代 CV 框架到底在优化什么?从 CNN 到 Transformer,再到多尺度融合

【从会用模型到理解CV4】现代 CV 框架到底在优化什么?从 CNN 到 Transformer,再到多尺度融合

在计算机视觉的快速发展中,我们看到了无数的模型结构创新。从最早的卷积神经网络(CNN),到更复杂的 ResNet、FPN,再到近年来掀起热潮的 Transformer,这些框架各自解决了不同的问题,并为视觉任务提供了新的思路。 但你有没有想过: 所有这些架构创新,背后的核心目标是什么?它们到底在优化什么? 这篇文章的核心目标是,帮助你从更本质的角度理解现今主流 CV 框架的设计方向。随着模型不
2026-03-17
论文
#机器学习 #深度学习
【从会用模型到理解CV3】为什么卷积、ResNet、Attention 会有效?

【从会用模型到理解CV3】为什么卷积、ResNet、Attention 会有效?

学 CV 的过程中,几乎没人绕得开这三个词: 卷积(Convolution) ResNet Attention 它们太常见了。常见到很多时候,我们会默认自己“已经懂了”。 比如: 卷积就是提特征的 ResNet 就是加 shortcut 的 Attention 就是让模型关注重点 这些说法当然不算错,但如果只停留在这里,其实还是太表面了。 因为真正值得想清楚的问题不是“它们是什么”,而是:
2026-03-16
论文
#机器学习 #深度学习
【从会用模型到理解CV2】一张图进入CV模型后,信息是如何流动的?

【从会用模型到理解CV2】一张图进入CV模型后,信息是如何流动的?

上一篇我聊的是一个更底层的问题:深度学习的本质是什么。如果把那个问题再往前推一步,计算机视觉里其实还有一个更具体、也更值得反复想清楚的问题: 一张图进入CV模型后,内部到底发生了什么? 很多时候,我们看模型图会看到很多熟悉的词: backbone stage neck head skip connection FPN attention fusion 但如果不把这些词放回“图像信息是怎么被
2026-03-15
论文
#机器学习 #深度学习
【从会用模型到理解CV1】深度学习的本质到底是什么?不是“黑盒”,而是从数据中学习函数

【从会用模型到理解CV1】深度学习的本质到底是什么?不是“黑盒”,而是从数据中学习函数

很多人刚接触深度学习时,最容易形成两种印象。 一种是把它看得很神秘,觉得它像某种“黑盒魔法”,数据一喂、模型一跑,结果就出来了。另一种是把它看得很工程化,觉得深度学习无非就是调包、堆网络、换模块、刷指标。 但如果真的想往计算机视觉这条路继续走,无论是看论文、做实验,还是以后自己写文章、做研究,有一个问题都绕不过去: 深度学习的本质,到底是什么? 如果这个问题一直模糊,那么后面学 CNN、Res
2026-03-14
论文
#机器学习 #深度学习
对文献阅读的重新认识

对文献阅读的重新认识

今天向本科的一位师兄(已经博士毕业且高校任职)请教问题,他连续问题让我对cv产生了重新的认识,不仅仅是文献的阅读。 下面这是对文献的一般的看法,但是这也仅仅只是为了读懂一篇文献所能做的。 文献调研重点聚焦 2025目标检测论文,优先看 CCF-A 顶会(如 CVPR、ICCV、ECCV、NeurIPS、ICLR、AAAI),重点关注论文的 创新点、贡献表达、实验设计 和 发表时间/会议口
2026-03-12
论文
#论文
RT-DETR and RT-DETRv2

RT-DETR and RT-DETRv2

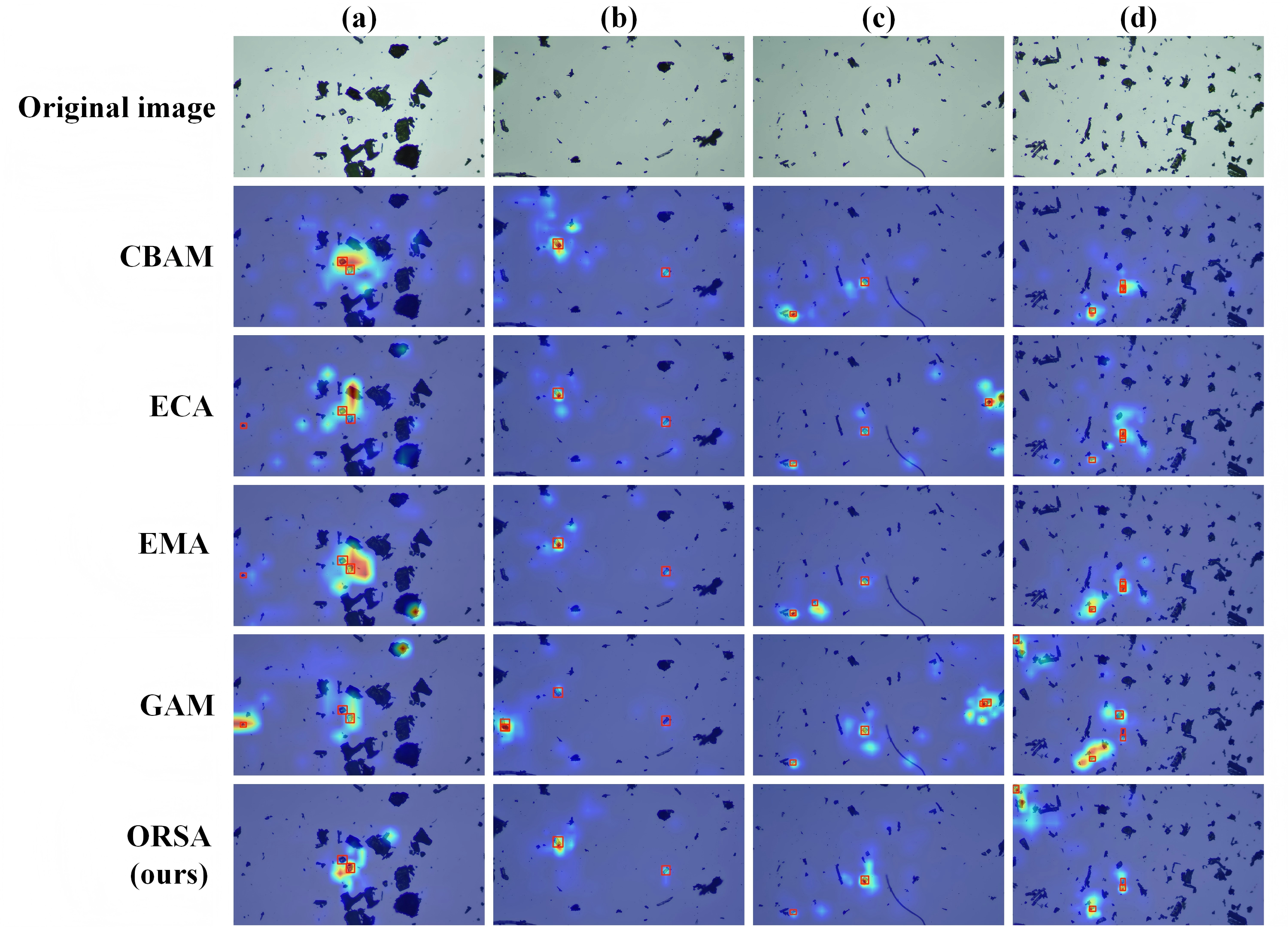
📌 最近一直在忙于我的第一篇关于晶体检测的计算机论文,刚刚投递出去(不知道能不能中,其实心里也很忐忑)。目前再准备开始第二篇论文,准备用DETR相关的模型进行优化,这是对于RT-DETR的一些见解。论文的下载地址为:arxiv.org/pdf/2304.08069 一、模型剖析 RT-DETR由一个骨干网络、一个高效的混合编码器以及一个带有辅助预测头的Transformer解
2026-01-06
论文
#机器学习 #深度学习 #论文
晶体筛选

晶体筛选

思路: 1、先进行晶体的测试,挑选出合适的晶体样式,在进行针对性筛选,然后进行模型训练 2、制作软件前后端部署树莓派联动显微镜驱动进行,前端可进行颜色的调节更换模型。例如硫属性化合物是黄色透明,尽量挑选黄色透明化晶体等等。预计产出是专利、论文、软著。 3、后期进行机械化机械臂挑选进行、AI、AR等等联动识别。
2026-01-05
论文
#深度学习 #论文 #计算机视觉 #项目
DETR论文

DETR论文

现代检测器必须要通过一大组提议、锚框或窗口中心实现回归和分类问题,他们的性能显著受到后处理步骤,为了简化这些流程,我们提出了一种直接端到端的集合预测方法,即2020年5月发表的DETR(End-to-End Detection with Transformers)。论文我将从结构剖析、创新点分析、论文收获以及根据pytorch进行代码复现。 一、模型剖析DETR模型训练的流程简述为以下四步: 用
2025-12-29
论文
#机器学习 #深度学习 #论文
ResNet论文+复现

ResNet论文+复现

ResNet(Residual Network)由何恺明等人于2015年提出(论文《Deep Residual Learning for Image Recognition》),是深度学习领域里程碑式的论文。其核心思想是残差连接,解决了训练极深神经网络时遇到的退化问题。 这是ResNet论文的地址:Deep Residual Learning for Image Recognition 一、论文核
2025-07-25
论文
#机器学习 #深度学习 #论文
YOLOv9论文

YOLOv9论文

YOLOv9 是 YOLO 系列目标检测模型的最新版本之一,由 YOLOv7的原班团队Chien-Yao Wang等人2024年2月提出,其设计旨在进一步提升检测性能与推理效率。 一、论文地位阅读论文时我通常先查看摘要和结论,以快速把握其核心内容与研究方向。 1.1 核心技术创新:突破深度网络的信息瓶颈 可编程梯度信息(PGI) 为解决轻量级模型中从 I(X, X) 准确提取 I(Y, X) 的难
2025-07-17
论文
#深度学习 #论文 #计算机视觉
12

搜索

Alaskaboo 以玖
总访问量 次 总访客数 人
渝ICP备2025063032号-2 | police-icon 渝公网安备50023102500775号